Listing provided courtesy of AJ George of AJGCRE. Last updated 2026-05-14 08:20:47.000000. Listing information © 2026 Sandicor.
Asking Price: $409,725 |
Prospect Ave, Santee CA 92071
Community: 92071 - Santee
This property was built in 0 and is priced at $409,725. Please see the additional details below.
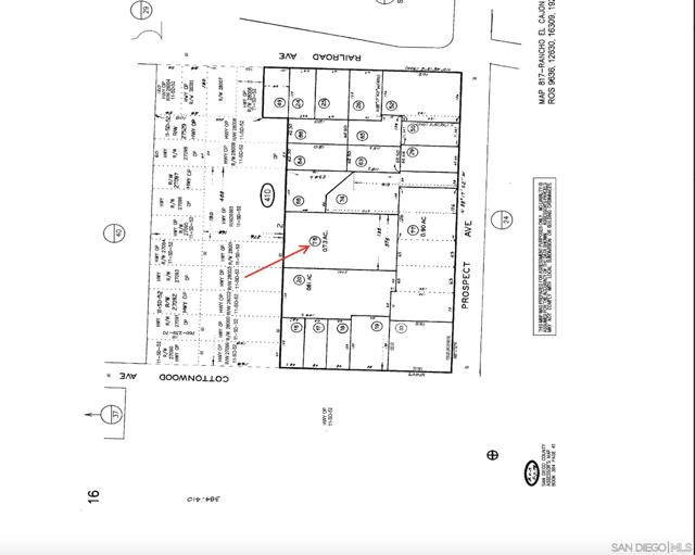
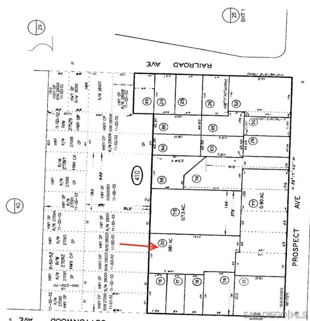
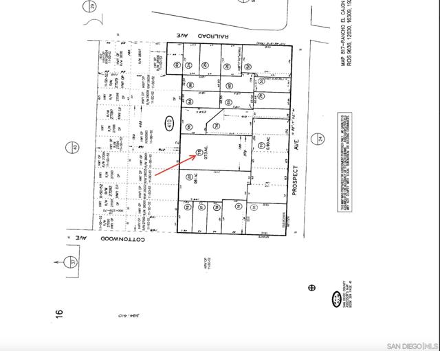
**Prime Commercial Land Opportunity in San Diego County** Discover a rare investment opportunity in San Diego County! We present two commercial parcels, each with a potential high cap rate for land development. The FAA has a preliminary approval approved for storage/equipment parking use on these vacant lots, totaling 1.34 acres. **Key Features:** - Parcel 1 (APN 384-410-76-00): 31,798 sq. ft. - Parcel 2 (APN 3385-410-20-00): 26,571 sq. ft. - FAA Preliminary Approval for Storage Use - Gillespie Field Overlay Zone - Light Industrial Zoning - Triple Net Lease Option: $8,500 for both parcels - Individual Parcel Lease Rates: $3,719 (Parcel 1) and $4,451 (Parcel 2) - Convenient Ingress and Egress on West Side (East May be Availble) **Additional Information:** - The adjacent parcel, grandfathered for two single-family residences, may be available for sale. Call the Agent for details and/or to submit an offer. - Located in the Gillespie Field Compatibility Zone, ensuring strategic development. - Check the Gillespie Community Land Use Plan (Page 32), and Gillespie Field Compatibility Plan (Pages 71-72, 107-112) for detailed zoning insights. **Sales Details:** - Total Sales Price: $1,395,000 - Acreage: 1.34 acres (58,369 sq. ft.) **Important Notes:** - No structures can be built under the Gillespie Community Land Use Plan and avigation easement on this particular property. - Verify all information with the FAA, the County of San Diego, and the city of Santee for approvals.








